Les travaux pourraient être achevés en fin d'année 2018. La circulation routière sera maintenue pendant toute la durée du chantier.
PAPEETE, 22 mai 2018 - Le nouveau pont pour poids lourds de Motu Uta devrait ouvrir à la circulation en fin d’année.
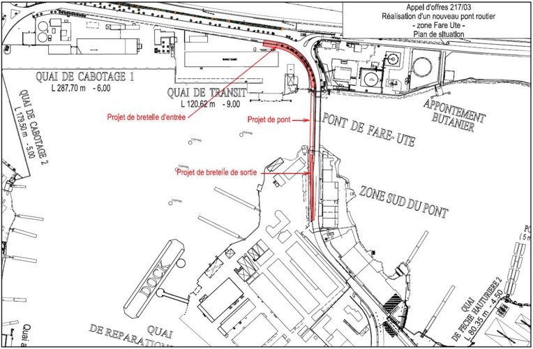
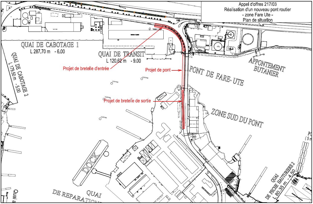
A Motu Uta, la réalisation de cette nouvelle artère pour la circulation routière devrait fluidifier un trafic de poids lourds sans cesse en augmentation. Ce pont routier de 100 mètres de long est érigé sur le flanc de l’actuel ouvrage construit en 1965. Le Port autonome de Papeete consacre un budget de 491,4 millions Fcfp à ce chantier.
La circulation routière sera maintenue pendant toute la durée de ces travaux en 2018.
Le nouveau pont présentera une voie de quatre mètres, à sens unique en sortie de la zone de Motu Uta. Surtout, il pourra supporter une charge utile de 76 tonnes, là où l’actuel pont routier ne tolère guère plus de 35 tonnes et montre régulièrement sa limite.
"Plusieurs demandes sont faites chaque mois pour des autorisations de convoi dépassant la charge maximum", explique André Lorfevre, l’agent du Port autonome qui assure la maîtrise d’œuvre de ce projet. "Ces demandes sont étudiées spécifiquement pour ne pas que ça pose des problèmes de sécurité. Faire un pont dédié aux poids lourds réglera ce problème. Mais il est arrivé que l’on refuse des demandes. Lorsque la société EDT a fait venir ses groupes électrogènes, qui pèsent 200 tonnes pièce, nous avons par exemple dû organiser un convoi exceptionnel par voie maritime, en direction de la Punaruu".
En 2017, 94 demandes d’autorisation pour convois exceptionnels excédant les 35 tonnes ont nécessité une fermeture provisoire de la circulation sur le pont actuellement en service.
Le nouveau, pour poids lourds, sera d’une structure identique à celle du pont déjà en place pour relier les installations de portuaires à la zone industrielle de Fare Ute. Il repose sur quatre travées indépendantes de 24 mètres de portée chacune. Le chantier compte aussi avec l’aménagement d’une voie d’entrée et de sortie de part et d’autre, sur des ouvrages de soutènement.
Un sol moins solide que prévu
Initialement prévus pour durer 40 semaines, ce chantier débuté mi-mai dernier fait actuellement face à des retards causés par l’irrégularité du soubassement corallien. Le pont prévoit d’être supporté par 10 pieux cylindriques en acier, d’un diamètre de un mètre vingt. En fonction de la résistance du sol, ces pilotis doivent être insérés jusqu'à 35 à 50 mètres de profondeur dans le sol corallien, pour offrir la résistance nécessaire à la charge que devra soutenir l'édifice routier, une fois en activité.
Et cette phase du chantier prend quelque retard, actuellement. Le soubassement corallien s’est avéré plus hétérogène que ne le laissaient penser les carottages réalisés en préambule. La phase de pose des pieux devait être achevée mi-août, début septembre prochain ; mais "les notes de calcul reçues la semaine dernière nous imposent un report de délai de quatre à cinq mois", indique Joe Tapare, conducteur de travaux sur ce chantier du Port autonome. "L’exercice va être de réduire ce dérapage dans le temps. Il va nous falloir être réactif et anticiper sur les commandes. Si on s’en sort bien, le chantier pourrait être livré en décembre prochain".
Douze poutrelles de béton armé, renforcées dans leur structure par des câbles en acier tendus à 500 bars, des poutres post-contraintes, devront avant cela être posées sur ces pilotis afin de recevoir le tablier du pont, courant novembre, si les retards aujourd'hui prévisibles sont amortis d'ici là.
Les voies d'accès et de sortie seront livrées en attente du pont, à l'issue d'un chantier spécifique que le Port autonome prévoit aujourd'hui de lancer fin juin prochain.
Cette année, le Port autonome de Papeete projette de consacrer 2,6 milliards Fcfp de budget à ses investissements. Outre le nouveau pont routier de Motu Uta, deux autres ouvrages sont actuellement en cours de réalisation ou sur le point d’être lancés. Le réagencement de l’espace situé à l’arrière du rond-point Jacques Chirac, entre les Jardins de Paofai et la marina de Papeete, pour un montant de 900 millions Fcfp. Et la construction d'un terminal de croisière international. Ce chantier doit débuter en juillet prochain, avec une ouverture au public prévue pour juin 2020. L’édifice dédié à l’accueil des croisiéristes sera aménagé sur les quais à l’emplacement de l’ancien Fare Manihini pour un coût estimé à 1,1 milliard de francs.
A Motu Uta, la réalisation de cette nouvelle artère pour la circulation routière devrait fluidifier un trafic de poids lourds sans cesse en augmentation. Ce pont routier de 100 mètres de long est érigé sur le flanc de l’actuel ouvrage construit en 1965. Le Port autonome de Papeete consacre un budget de 491,4 millions Fcfp à ce chantier.
La circulation routière sera maintenue pendant toute la durée de ces travaux en 2018.
Le nouveau pont présentera une voie de quatre mètres, à sens unique en sortie de la zone de Motu Uta. Surtout, il pourra supporter une charge utile de 76 tonnes, là où l’actuel pont routier ne tolère guère plus de 35 tonnes et montre régulièrement sa limite.
"Plusieurs demandes sont faites chaque mois pour des autorisations de convoi dépassant la charge maximum", explique André Lorfevre, l’agent du Port autonome qui assure la maîtrise d’œuvre de ce projet. "Ces demandes sont étudiées spécifiquement pour ne pas que ça pose des problèmes de sécurité. Faire un pont dédié aux poids lourds réglera ce problème. Mais il est arrivé que l’on refuse des demandes. Lorsque la société EDT a fait venir ses groupes électrogènes, qui pèsent 200 tonnes pièce, nous avons par exemple dû organiser un convoi exceptionnel par voie maritime, en direction de la Punaruu".
En 2017, 94 demandes d’autorisation pour convois exceptionnels excédant les 35 tonnes ont nécessité une fermeture provisoire de la circulation sur le pont actuellement en service.
Le nouveau, pour poids lourds, sera d’une structure identique à celle du pont déjà en place pour relier les installations de portuaires à la zone industrielle de Fare Ute. Il repose sur quatre travées indépendantes de 24 mètres de portée chacune. Le chantier compte aussi avec l’aménagement d’une voie d’entrée et de sortie de part et d’autre, sur des ouvrages de soutènement.
Un sol moins solide que prévu
Initialement prévus pour durer 40 semaines, ce chantier débuté mi-mai dernier fait actuellement face à des retards causés par l’irrégularité du soubassement corallien. Le pont prévoit d’être supporté par 10 pieux cylindriques en acier, d’un diamètre de un mètre vingt. En fonction de la résistance du sol, ces pilotis doivent être insérés jusqu'à 35 à 50 mètres de profondeur dans le sol corallien, pour offrir la résistance nécessaire à la charge que devra soutenir l'édifice routier, une fois en activité.
Et cette phase du chantier prend quelque retard, actuellement. Le soubassement corallien s’est avéré plus hétérogène que ne le laissaient penser les carottages réalisés en préambule. La phase de pose des pieux devait être achevée mi-août, début septembre prochain ; mais "les notes de calcul reçues la semaine dernière nous imposent un report de délai de quatre à cinq mois", indique Joe Tapare, conducteur de travaux sur ce chantier du Port autonome. "L’exercice va être de réduire ce dérapage dans le temps. Il va nous falloir être réactif et anticiper sur les commandes. Si on s’en sort bien, le chantier pourrait être livré en décembre prochain".
Douze poutrelles de béton armé, renforcées dans leur structure par des câbles en acier tendus à 500 bars, des poutres post-contraintes, devront avant cela être posées sur ces pilotis afin de recevoir le tablier du pont, courant novembre, si les retards aujourd'hui prévisibles sont amortis d'ici là.
Les voies d'accès et de sortie seront livrées en attente du pont, à l'issue d'un chantier spécifique que le Port autonome prévoit aujourd'hui de lancer fin juin prochain.
Cette année, le Port autonome de Papeete projette de consacrer 2,6 milliards Fcfp de budget à ses investissements. Outre le nouveau pont routier de Motu Uta, deux autres ouvrages sont actuellement en cours de réalisation ou sur le point d’être lancés. Le réagencement de l’espace situé à l’arrière du rond-point Jacques Chirac, entre les Jardins de Paofai et la marina de Papeete, pour un montant de 900 millions Fcfp. Et la construction d'un terminal de croisière international. Ce chantier doit débuter en juillet prochain, avec une ouverture au public prévue pour juin 2020. L’édifice dédié à l’accueil des croisiéristes sera aménagé sur les quais à l’emplacement de l’ancien Fare Manihini pour un coût estimé à 1,1 milliard de francs.




































