|
Actualité du Pacifique
L'information de l'Océanie
WELLINGTON, vendredi 4 février 2011 (Flash d'Océanie) – Un nouveau groupe de quelque quatre vingt deux globicéphales s’est échoué vendredi à la...
SYDNEY, vendredi 4 février 2011 (Flash d'Océanie) – De violents affrontements entre bandes rivales dans un centre commercial de Sydney, jeudi soir,...
WELLINGTON, vendredi 4 février 2011 (Flash d'Océanie) – La destination Nouvelle-Zélande a enregistré un total mensuel de quelque 345.700 visiteurs...
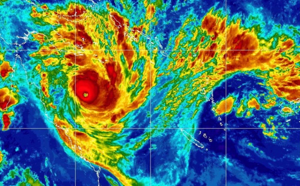
INNISFAIL, 3 février 2011 (AFP) - Le cyclone Yasi, un des plus puissants à frapper l'Australie depuis un siècle, progressait jeudi à l'intérieur des...
INNISFAIL, 2 février 2011 (AFP) - Le cyclone Yasi, classé en catégorie maximale, a frappé jeudi la côte nord-est de l'Australie, dont les autorités...
INNISFAIL, 2 février 2011 (AFP) - Le cyclone Yasi, classé en catégorie maximale, a atteint tôt jeudi matin (mercredi 14H00 GMT) la côte nord-est de...
SYDNEY, 1 février 2011 (AFP) - "Pas de salaire. Pas d'horaire. Travail fatigant et dangereux". L'offre de recrutement n'est guère encourageante mais...
PORT-MORESBY, mardi 1er février 2011 (Flash d'Océanie) – Vingt et une personnes, dont de nombreux enfants, sont mortes ces dernières semaines d’une...
BUENOS AIRES, 1 février 2011 (AFP) - Le bateau de croisière Polar Star, battant pavillon des Bermudes, s'est échoué contre un rocher dans le détroit...
SUVA, lundi 31 janvier 2011 (Flash d'Océanie) – La succession de cyclones et dépressions tropicales se poursuit en ce début de semaine à un rythme...
|
||||
|
TAHITI-INFOS est un site édité par FENUACOMMUNICATION Sarl au capital de 20 000 000 Fcfp, immeuble Manarava - Shell RDO Faa'a - BP 40160 98 713 Papeete Polynésie Française.
(+689) 40 43 49 49 - Dir. de publication : Sarah MOUX - Gérant : Albert MOUX |
||||
















