|
Actualité du Pacifique
L'information de l'Océanie
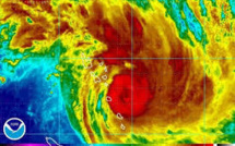
PORT-VILA, mardi 11 mars 2014 (Flash d’Océanie) – Le cyclone tropical « Lusi », qui s’est formé en début de semaine au Nord de l’archipel de Vanuatu,...
Le zika a touché les îles Cook 11/03/2014
RAROTONGA, mardi 11 mars 2014 (Flash d’Océanie) – Le virus du zika, transmis par les moustiques et qui fait des ravages depuis plusieurs semaines en...
WELLINGTON, lundi 10 mars 2014 (Flash d’Océanie) – John Key, Premier ministre centre droite de Nouvelle-Zélande, arrivé au pouvoir fin 2008, a...
PORT-MORESBY, lundi 10 mars 2014 (Flash d’Océanie) – Peter O'Neill, Premier ministre papou, semble poursuivre une opération de nettoyage au sein de...
LOS ANGELES, 10 mars 2014 (AFP) - Un puissant séisme de magnitude 6,9 s'est produit dimanche au large des côtes du nord de la Californie, a annoncé...
Formation d’un cyclone au Nord de Vanuatu 10/03/2014
PORT-VILA, lundi 10 mars 2014 (Flash d’Océanie) – Les autorités météorologiques régionales de Fidji, compétentes pour toute la zone, ont...
SYDNEY, 10 mars 2014 (AFP) - La police australienne a annoncé lundi l'arrestation d'un homme soupçonné d'avoir tenté de faire entrer de la drogue...
NOUMÉA, 8 mars 2014 (AFP) - Un gendarme a été blessé par balle aux mollets lors de l'interpellation d'un voleur de voiture dans la tribu de Saint...
WASHINGTON, vendredi 7 mars 2014 (Flash d’Océanie) – Le gouvernement américain a rendu publique en milieu de semaine sa liste annuelle des « femmes...
PORT-MORESBY, vendredi 7 mars 2014 (Flash d’Océanie) – Le gouvernement de Papouasie-Nouvelle-Guinée a mis à exécution, à compter du 1er mars 2014,...
|
||||
|
TAHITI-INFOS est un site édité par FENUACOMMUNICATION Sarl au capital de 20 000 000 Fcfp, immeuble Manarava - Shell RDO Faa'a - BP 40160 98 713 Papeete Polynésie Française.
(+689) 40 43 49 49 - Dir. de publication : Sarah MOUX - Gérant : Albert MOUX |
||||















