|
Actualité du Pacifique
L'information de l'Océanie
PORT-VILA, mardi 29 juillet 2014 (Flash d’Océanie) – Le Premier ministre de Vanuatu, Joe Natuman, a annoncé lundi, en pleine session parlementaire...
PORT-MORESBY, mardi 29 juillet 2014 (Flash d’Océanie) – Le commerce et la distribution de la fameuse noix de bétel, consommée en...
SUVA, mardi 29 juillet 2014 (Flash d’Océanie) – Une société fidjienne a lancé en début de semaine une nouvelle gamme de boissons à base de kava, mais...
LA HAVANE, mardi 29 juillet 2014 (Flash d’Océanie) – Gordon Darcy Lilo, Premier ministre des îles Salomon, a créé une première le 24 juillet 2014 en...
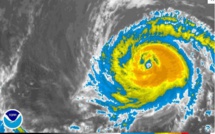
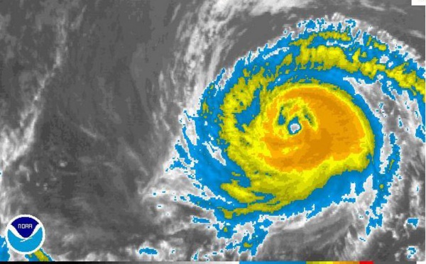
WASHINGTON, 28 juillet 2014 (AFP) - L'ouragan Hernan qui s'était formé dimanche dans le Pacifique au large de la côte ouest du Mexique a été...
WASHINGTON, 27 juillet 2014 (AFP) - L'ouragan Hernan s'est formé dimanche dans la partie orientale du Pacifique au large de la côte ouest du Mexique,...
Développement durable et ressources marines : la Polynésie fait entendre sa voix au 4e sommet du PLG 25/07/2014
AUCKLAND (NZ), 26 juillet 2014 - (COMMUNIQUE) Le Vice-Président Nuihau Laurey et le Ministre du Logement, porte-parole du gouvernement, Marcel...
SYDNEY, 25 juillet 2014 (AFP) - L'Australie prévoit d'envoyer un contingent de soldats sur le site du crash du MH17, dans l'est de l'Ukraine, a...
NOUMÉA, 25 juillet 2014 (AFP) - Le député Philippe Gomes (UDI) a qualifié vendredi de "trés utile" la mission d'écoute et de conseil récemment nommée...
SUVA, jeudi 24 juillet 2014 (Flash d’Océanie) – Après la livraison d’un premier exemplaire le 6 juin 2014, la compagnie domestique et régionale...
|
||||
|
TAHITI-INFOS est un site édité par FENUACOMMUNICATION Sarl au capital de 20 000 000 Fcfp, immeuble Manarava - Shell RDO Faa'a - BP 40160 98 713 Papeete Polynésie Française.
(+689) 40 43 49 49 - Dir. de publication : Sarah MOUX - Gérant : Albert MOUX |
||||














