|
Actualité du Pacifique
L'information de l'Océanie
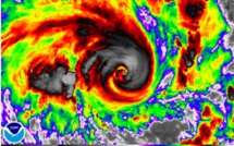
Suva, Fiji | AFP | vendredi 13/03/2015 - Le puissant cyclone Pam, de catégorie 5, menace l'archipel de Vanuatu dans le Pacifique sud, où la capitale...
PARIS, mercredi 11 mars 2015 (Flash d’Océanie) – Le gouvernement français met actuellement la dernière main à la mise en application d’un accord de...
SUVA, mercredi 11 mars 2015 (Flash d’Océanie) – Les autorités régionales ont, dans la nuit de mercredi à jeudi, rehaussé la catégorie du cyclone...
Jakarta, Indonésie | | jeudi 12/03/2015 -L'Indonésie a rejeté jeudi la proposition de l'Australie de payer le coût de la détention de deux de ses...
Nouméa, France | | jeudi 12/03/2015 - Les îles du Pacifique doivent adopter une stratégie de gestion durable de la pêche côtière, au risque de mettre...
Nouméa, France | | jeudi 12/03/2015 - Les indépendantistes de Nouvelle-Calédonie ont contesté, jeudi dans un communiqué, le travail des commissions...
Préalerte cyclonique en Nouvelle-Calédonie 11/03/2015
Nouméa, France | AFP | jeudi 12/03/2015 - La préalerte cyclonique a été déclenchée jeudi à la mi-journée en Nouvelle-Calédonie, en raison de la...
Sydney, Australie | | mercredi 11/03/2015 - Il passe pourtant pour un ardent défenseur des Aborigènes: le Premier ministre australien s'est attiré...
Sydney, Australie | | mercredi 11/03/2015 - Le déversement de déchets de dragage dans la Grande barrière de corail prévu dans le cadre d'un projet...
Denpasar, Indonésie | | mercredi 11/03/2015 - Un Allemand a été condamné mercredi à 15 ans de prison pour trafic de cocaïne en Indonésie, pays où...
|
||||
|
TAHITI-INFOS est un site édité par FENUACOMMUNICATION Sarl au capital de 20 000 000 Fcfp, immeuble Manarava - Shell RDO Faa'a - BP 40160 98 713 Papeete Polynésie Française.
(+689) 40 43 49 49 - Dir. de publication : Sarah MOUX - Gérant : Albert MOUX |
||||














