Tokyo, Japon | AFP | mardi 30/08/2022 - L'agence météorologique japonaise a mis en garde mardi contre le typhon Hinnamnor qui s'approche de plusieurs îles reculées du sud du pays, appelant les habitants à se mettre à l'abri avant que la situation ne devienne trop dangereuse.
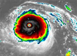
Mardi soir, le typhon, qualifié de "très fort", se trouvait dans les eaux du Pacifique au sud du Japon, à 340 kilomètres à l'est-nord-est de l'île de Minami Daito, l'une des îles isolées qui forment l'archipel d'Okinawa, selon l'agence.
Avec des rafales atteignant 252 km/h, il se déplace vers l'ouest à une vitesse de 30 km/h, et devrait constituer une menace pour ces îles de mercredi soir à vendredi.
Certaines de ces îles sont isolées et n'accueillent que quelques centaines d'habitants, mais la région dans son ensemble compte environ 1,4 million de personnes tandis que l'île d'Okinawa abrite la plupart des bases militaires américaines du Japon.
L'agence météorologique s'attend à ce que la tempête se renforce pour atteindre la catégorie "violente" à partir de mercredi soir, avec des rafales pouvant atteindre 270 km/h. La branche d'Okinawa de l'agence a déclaré que les vents intenses de mercredi pourraient provoquer l'effondrement de certaines habitations.
De fortes pluies et des vagues élevées frapperont également la région.
"Veuillez faire preuve d'une grande prudence en cas de vent violent. Prenez des mesures de précaution comme vous déplacer vers des bâtiments solides avant que les vents violents ne commencent", a appelé l'agence.
Le Japon se trouve actuellement en pleine saison des typhons. Il est frappé par une vingtaine de tempêtes de ce type par an.
Mardi soir, le typhon, qualifié de "très fort", se trouvait dans les eaux du Pacifique au sud du Japon, à 340 kilomètres à l'est-nord-est de l'île de Minami Daito, l'une des îles isolées qui forment l'archipel d'Okinawa, selon l'agence.
Avec des rafales atteignant 252 km/h, il se déplace vers l'ouest à une vitesse de 30 km/h, et devrait constituer une menace pour ces îles de mercredi soir à vendredi.
Certaines de ces îles sont isolées et n'accueillent que quelques centaines d'habitants, mais la région dans son ensemble compte environ 1,4 million de personnes tandis que l'île d'Okinawa abrite la plupart des bases militaires américaines du Japon.
L'agence météorologique s'attend à ce que la tempête se renforce pour atteindre la catégorie "violente" à partir de mercredi soir, avec des rafales pouvant atteindre 270 km/h. La branche d'Okinawa de l'agence a déclaré que les vents intenses de mercredi pourraient provoquer l'effondrement de certaines habitations.
De fortes pluies et des vagues élevées frapperont également la région.
"Veuillez faire preuve d'une grande prudence en cas de vent violent. Prenez des mesures de précaution comme vous déplacer vers des bâtiments solides avant que les vents violents ne commencent", a appelé l'agence.
Le Japon se trouve actuellement en pleine saison des typhons. Il est frappé par une vingtaine de tempêtes de ce type par an.




































