NUKU’ALOFA, vendredi 10 janvier 2014 (Flash d’Océanie) – Les services d’urgence et de gestion des catastrophes naturelles du royaume de Tonga étaient vendredi en alerte maximale à l’approche du cyclone « Ian », phénomène qui a significativement gagné en puissance au cours des 24 dernières heures et qui devrait frapper les îles du Nord de cet archipel polynésien dans la soirée de vendredi (heure locale, GMT+12).
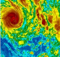
Ian, qui s’est formé en début de semaine au Nord-est des îles Fidji voisines, a depuis dans un premier temps fait mine de s’éloigner de Tonga, mais a ensuite incurvé sa trajectoire pour reprendre un cap Est-sud-est, avec, en son centre, des vents moyens de l’ordre de 170 kilomètres heure, avec des rafales destructrices à 200, selon les dernières prévisions disponibles.
Cette puissance, qui le place déjà dans une catégorie 4, pourrait encore augmenter au cours des douze heures à venir pour atteindre les 195 kilomètres heure en vents constants, avec des rafales à 240, selon le centre d’alerte cyclonique de la marine américaine, basé à Pearl Harbour (Hawaii).
En fonction de sa trajectoire actuelle, Ian, désormais qualifié de « sévère », pourrait toucher en premier lieu les îles du Nord de Tonga, notamment l’île de Vava’u, l’un des principaux centres touristiques du pays, mais aussi l’île principale de Tongatapu.
Il arriverait par le flanc Ouest de l’archipel, pour ensuite traverser latéralement et poursuivre sa route le long des côtes orientales.
Il s’agit du premier cyclone tropical de la saison (novembre 2013- mai 2014 pour les îles du Pacifique Sud.
Ian se déplace à une vitesse faible (environ 7 kilomètres heure) et devrait ainsi s’attarder au-dessus de Tonga jusqu’à dimanche, estiment les prévisionnistes.
Après cela, Ian devrait progressivement plonger en direction Sud-sud-est et perdre en puissance au cours de sa phase de transition extratropicale.
À Tonga, les services d’urgence ont transmis des messages de vigilance à la population, rappelant les consignes en pareilles circonstances, à savoir, en premier lieu, sécuriser les maisons et tout objet pouvant être emporté, avec en corollaire la consigne pour les habitants de rester chez eux, après avoir stocké matériel et provisions de première nécessité, tout en restant à l’écoute des messages radio des autorités.
pad
Ian, qui s’est formé en début de semaine au Nord-est des îles Fidji voisines, a depuis dans un premier temps fait mine de s’éloigner de Tonga, mais a ensuite incurvé sa trajectoire pour reprendre un cap Est-sud-est, avec, en son centre, des vents moyens de l’ordre de 170 kilomètres heure, avec des rafales destructrices à 200, selon les dernières prévisions disponibles.
Cette puissance, qui le place déjà dans une catégorie 4, pourrait encore augmenter au cours des douze heures à venir pour atteindre les 195 kilomètres heure en vents constants, avec des rafales à 240, selon le centre d’alerte cyclonique de la marine américaine, basé à Pearl Harbour (Hawaii).
En fonction de sa trajectoire actuelle, Ian, désormais qualifié de « sévère », pourrait toucher en premier lieu les îles du Nord de Tonga, notamment l’île de Vava’u, l’un des principaux centres touristiques du pays, mais aussi l’île principale de Tongatapu.
Il arriverait par le flanc Ouest de l’archipel, pour ensuite traverser latéralement et poursuivre sa route le long des côtes orientales.
Il s’agit du premier cyclone tropical de la saison (novembre 2013- mai 2014 pour les îles du Pacifique Sud.
Ian se déplace à une vitesse faible (environ 7 kilomètres heure) et devrait ainsi s’attarder au-dessus de Tonga jusqu’à dimanche, estiment les prévisionnistes.
Après cela, Ian devrait progressivement plonger en direction Sud-sud-est et perdre en puissance au cours de sa phase de transition extratropicale.
À Tonga, les services d’urgence ont transmis des messages de vigilance à la population, rappelant les consignes en pareilles circonstances, à savoir, en premier lieu, sécuriser les maisons et tout objet pouvant être emporté, avec en corollaire la consigne pour les habitants de rester chez eux, après avoir stocké matériel et provisions de première nécessité, tout en restant à l’écoute des messages radio des autorités.
pad



































