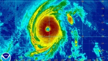
HONOLULU, mardi 5 août 2014 (Flash d’Océanie) – Un puissant cyclone tropical baptisé Iselle se rapprochait toujours dangereusement mardi du territoire américain d’Hawaii, qui se trouve sur sa trajectoire actuelle, selon les dernières projections.
Iselle emprunte actuellement une trajectoire plein Ouest et se déplace à une vitesse estimée à 11 kilomètres heure.
La vitesse des vents au centre de ce phénomène était estimée mardi à plus de 220 kilomètres heure avec des pointes à 265, estime le centre d’alerte cyclonique américain (Joint Typhoon Warning Centre, JTWC) de la marine américaine dans son dernier bulletin.
La puissance d’Iselle devrait toutefois progressivement diminuer à l’approche des côtes d’Hawaii, selon les mêmes sources, tout en conservant, à l’horizon +72 heures, un caractère de dangerosité certain, prévoit le JTWC basé à Hawaii.
Iselle devrait se dissiper au cours du week-end prochain en entrant dans ce que les spécialistes appellent une phase « extratropicale ».
Carte trajectoire observée et projetée du cyclone tropical Iselle
http://www.usno.navy.mil/NOOC/nmfc-ph/RSS/jtwc/warnings/ep0914.gif
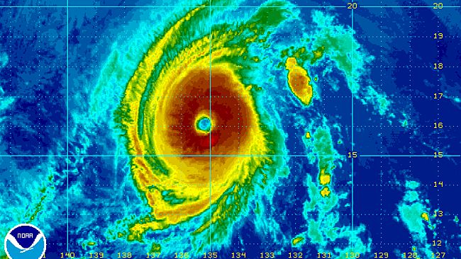
Un peu plus au Sud, dans le même temps, une dépression tropicale baptisée Genevieve devrait passer au larges des îles habitées de cette région, estiment les mêmes sources.
http://www.usno.navy.mil/NOOC/nmfc-ph/RSS/jtwc/warnings/ep0714.gif
pad
Iselle emprunte actuellement une trajectoire plein Ouest et se déplace à une vitesse estimée à 11 kilomètres heure.
La vitesse des vents au centre de ce phénomène était estimée mardi à plus de 220 kilomètres heure avec des pointes à 265, estime le centre d’alerte cyclonique américain (Joint Typhoon Warning Centre, JTWC) de la marine américaine dans son dernier bulletin.
La puissance d’Iselle devrait toutefois progressivement diminuer à l’approche des côtes d’Hawaii, selon les mêmes sources, tout en conservant, à l’horizon +72 heures, un caractère de dangerosité certain, prévoit le JTWC basé à Hawaii.
Iselle devrait se dissiper au cours du week-end prochain en entrant dans ce que les spécialistes appellent une phase « extratropicale ».
Carte trajectoire observée et projetée du cyclone tropical Iselle
http://www.usno.navy.mil/NOOC/nmfc-ph/RSS/jtwc/warnings/ep0914.gif
Un peu plus au Sud, dans le même temps, une dépression tropicale baptisée Genevieve devrait passer au larges des îles habitées de cette région, estiment les mêmes sources.
http://www.usno.navy.mil/NOOC/nmfc-ph/RSS/jtwc/warnings/ep0714.gif
pad





































