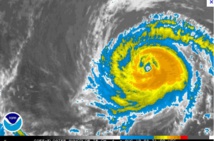
WASHINGTON, 27 juillet 2014 (AFP) - L'ouragan Hernan s'est formé dimanche dans la partie orientale du Pacifique au large de la côte ouest du Mexique, ont indiqué des météorologistes américains.
Les vents atteignant une vitesse de 120 km/h progressaient à quelque 535 kilomètres au sud-sud-ouest de la presqu'île de Basse Californie au Mexique, a précisé le centre national américain de prévision des ouragans basé à Miami en Floride (est des Etats-Unis).
L'ouragan devrait cependant perdre en intensité progressivement d'ici lundi, selon les prévisions des météorologistes.
Lors de son passage à l'ouest de l'île de Scorro les autorités locales ont relevé des vents ayant atteint une vitesse de pointe de 95 km/h, selon la même source.
Hernan se dirigeait dimanche vers le nord-ouest à une vitesse de 24km/h et devait ensuite prendre la direction du nord-ouest ou ouest-nord-ouest lors des prochaines 48 heures selon les météorologistes.
Aucune alerte pour les habitants des côtes du Pacifique n'a été lancée.
Les vents atteignant une vitesse de 120 km/h progressaient à quelque 535 kilomètres au sud-sud-ouest de la presqu'île de Basse Californie au Mexique, a précisé le centre national américain de prévision des ouragans basé à Miami en Floride (est des Etats-Unis).
L'ouragan devrait cependant perdre en intensité progressivement d'ici lundi, selon les prévisions des météorologistes.
Lors de son passage à l'ouest de l'île de Scorro les autorités locales ont relevé des vents ayant atteint une vitesse de pointe de 95 km/h, selon la même source.
Hernan se dirigeait dimanche vers le nord-ouest à une vitesse de 24km/h et devait ensuite prendre la direction du nord-ouest ou ouest-nord-ouest lors des prochaines 48 heures selon les météorologistes.
Aucune alerte pour les habitants des côtes du Pacifique n'a été lancée.
































