|
Actualité du Pacifique
L'information de l'Océanie
WELLINGTON, 7 août 2014 (AFP) - Un chalutier néo-zélandais a remonté dans ses filets un petit avion avec un corps à l'intérieur, a annoncé jeudi la...
SYDNEY, 7 août 2014 (AFP) - Le taux de chômage en Australie s'est établi à 6,4% en juillet, un niveau plus atteint depuis août 2002, a annoncé jeudi...
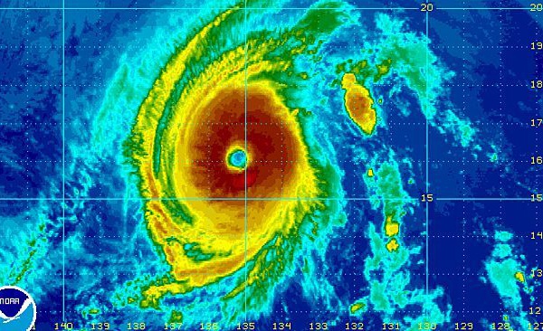
HONOLULU, 7 août 2014 (AFP) - L'archipel américain d'Hawaï, au milieu de l'océan Pacifique, se prépare à l'arrivée jeudi soir de l'ouragan Iselle,...
Tournée Asie-Pacifique pour John Kerry 07/08/2014
WASHINGTON mardi 5 août 2014 (Flash d’Océanie) – Le Secrétaire d’État américain John Kerry entamera le 8 août une tournée en Asie-Pacifique qui...
PERTH, 6 août 2014 (AFP) - Des dizaines d'Australiens ont uni leurs forces mercredi pour faire basculer un train et dégager un voyageur dont la jambe...
HONIARA, mercredi 6 août 2014 (Flash d’Océanie) – Les autorités salomonaises poursuivaient toujours en milieu de semaine des recherches en vue de...
HAGÅTÑA, mercredi 6 août 2014 (Flash d’Océanie) – Le jury populaire de la Cour Supérieure de Guam a prononcé en début de semaine Chad DeSoto coupable...
Le cyclone Iselle menace Hawaii 05/08/2014
HONOLULU, mardi 5 août 2014 (Flash d’Océanie) – Un puissant cyclone tropical baptisé Iselle se rapprochait toujours dangereusement mardi du...
Thaïlande/mère porteuse: le couple australien se défend, révélations sur une condamnation du père 05/08/2014
PERTH, 5 août 2014 (AFP) - L'affaire du bébé trisomique né d'une mère porteuse thaïlandaise et abandonné par les parents australiens a connu mardi un...
Le Japon met en garde contre des "actions dangereuses" de Pékin en mer de Chine orientale 05/08/2014
TOKYO, 5 août 2014 (AFP) - Le Japon a averti mardi que les "actions dangereuses" de la Chine au-dessus et en mer de Chine orientale, où Pékin...
|
||||
|
TAHITI-INFOS est un site édité par FENUACOMMUNICATION Sarl au capital de 20 000 000 Fcfp, immeuble Manarava - Shell RDO Faa'a - BP 40160 98 713 Papeete Polynésie Française.
(+689) 40 43 49 49 - Dir. de publication : Sarah MOUX - Gérant : Albert MOUX |
||||














