Manille, Philippines | AFP | mardi 20/04/2021 - Une opération de recherche était en cours, mardi aux Philippines, pour tenter de retrouver 20 membres d'équipages d'un cargo qui a talonné alors qu'il recherchait un abri en pleine tempête, ont annoncé les gardes-côtes.
L'équipage a abandonné le cargo chargé de minerai de nickel après son échouement lundi près de la ville de Malimono, sur la grande île méridionale de Mindanao.
Dix-huit se trouvaient à bord d'un canot de sauvetage quand le contact a été perdu mardi, a précisé le porte-parole des gardes-côtes Armand Balilo. On ignore le sort des deux autres.
"Nous étions en contact jusqu'à ce matin, alors que leur canot dérivait. Les recherches sont compliquées par le fait que la mer est très formée", a-t-il dit, en précisant que des recherches aériennes étaient aussi en cours.
On ignore l'état du navire, le Cebu Great Ocean, qui est immatriculé aux Philippines et transportait 2.000 litres de diésel.
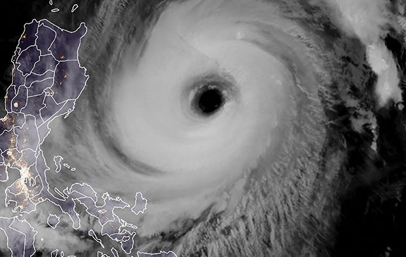
Au moins deux personnes ont péri dans le centre de l'archipel au passage du typhon Surigae qui a effleuré le pays, et contraint près de 160.000 personnes à se réfugier dans des abris d'urgence, selon l'agence de gestion des catastrophes.
Surigae ne devrait pas passer au-dessus des Philippines, mais il est accompagné de vents soufflant à 175 km/h près de son centre, qui se trouve à 500 km à l'est de l'archipel.
Le typhon progresse lentement sur une trajectoire nord-ouest et devrait s'éloigner dans les prochains jours de l'archipel.
Les Philippines sont frappées chaque année par une vingtaine de tempêtes et typhons qui détruisent les récoltes, les maisons et l'infrastructure dans des zones déjà appauvries.
L'équipage a abandonné le cargo chargé de minerai de nickel après son échouement lundi près de la ville de Malimono, sur la grande île méridionale de Mindanao.
Dix-huit se trouvaient à bord d'un canot de sauvetage quand le contact a été perdu mardi, a précisé le porte-parole des gardes-côtes Armand Balilo. On ignore le sort des deux autres.
"Nous étions en contact jusqu'à ce matin, alors que leur canot dérivait. Les recherches sont compliquées par le fait que la mer est très formée", a-t-il dit, en précisant que des recherches aériennes étaient aussi en cours.
On ignore l'état du navire, le Cebu Great Ocean, qui est immatriculé aux Philippines et transportait 2.000 litres de diésel.
Au moins deux personnes ont péri dans le centre de l'archipel au passage du typhon Surigae qui a effleuré le pays, et contraint près de 160.000 personnes à se réfugier dans des abris d'urgence, selon l'agence de gestion des catastrophes.
Surigae ne devrait pas passer au-dessus des Philippines, mais il est accompagné de vents soufflant à 175 km/h près de son centre, qui se trouve à 500 km à l'est de l'archipel.
Le typhon progresse lentement sur une trajectoire nord-ouest et devrait s'éloigner dans les prochains jours de l'archipel.
Les Philippines sont frappées chaque année par une vingtaine de tempêtes et typhons qui détruisent les récoltes, les maisons et l'infrastructure dans des zones déjà appauvries.




































