Les vents peuvent souffler à plus de 300 km/h et le niveau de la mer sur la zone concernée s’élever de plusieurs mètres.
PAPEETE, le 10 octobre 2017- Même les saisons chaudes où l’activité cyclonique est prévue faible, le développement probable d’autres phénomènes météorologiques dangereux (pluies exceptionnelles, houle ou vent fort) ne doit pas faire oublier les mesures habituelles de prudence et de sécurité.
Le cyclone est parmi les catastrophes naturelles, l’une des plus meurtrières, des plus dévastatrices. On dénombre en moyenne, chaque année, 80 cyclones à travers le monde et ils sont annuellement responsables de la mort de 10 000 à 20 000 personnes et de dégâts matériels évalués à 600 ou 700 milliards de francs CFP.
L’énergie déployée chaque seconde dans ce phénomène équivaut à celle de la consommation électrique de Tahiti pendant 40 jours.
La quantité d’eau déversée en 24 heures est de l’ordre de 15 milliards de tonnes, soit 250 000 000 de tonnes par 24 heures sur la seule île de Tahiti. Les vents peuvent souffler à plus de 300 km/h et le niveau de la mer sur la zone concernée s’élever de plusieurs mètres.
Le cyclone est donc un phénomène dangereux dont on ne doit jamais sous-estimer le danger qu’il représente
Dans l’hémisphère Sud, les cyclones se forment généralement de décembre à mars, exceptionnellement en avril. Ils sont baptisés à l’aide de prénoms rangés dans l’ordre alphabétique pour permettre de les identifier à l’intérieur d’une même saison chaude. Dans le Pacifique Sud, ce rôle de dénomination revient au centre de Nandi aux îles Fidji.
Le cyclone est parmi les catastrophes naturelles, l’une des plus meurtrières, des plus dévastatrices. On dénombre en moyenne, chaque année, 80 cyclones à travers le monde et ils sont annuellement responsables de la mort de 10 000 à 20 000 personnes et de dégâts matériels évalués à 600 ou 700 milliards de francs CFP.
L’énergie déployée chaque seconde dans ce phénomène équivaut à celle de la consommation électrique de Tahiti pendant 40 jours.
La quantité d’eau déversée en 24 heures est de l’ordre de 15 milliards de tonnes, soit 250 000 000 de tonnes par 24 heures sur la seule île de Tahiti. Les vents peuvent souffler à plus de 300 km/h et le niveau de la mer sur la zone concernée s’élever de plusieurs mètres.
Le cyclone est donc un phénomène dangereux dont on ne doit jamais sous-estimer le danger qu’il représente
Dans l’hémisphère Sud, les cyclones se forment généralement de décembre à mars, exceptionnellement en avril. Ils sont baptisés à l’aide de prénoms rangés dans l’ordre alphabétique pour permettre de les identifier à l’intérieur d’une même saison chaude. Dans le Pacifique Sud, ce rôle de dénomination revient au centre de Nandi aux îles Fidji.
QU’EST-CE QU’UN CYCLONE
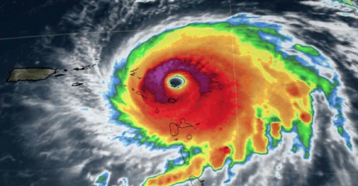
C’est un gigantesque tourbillon d’air chaud et humide à axe vertical de 500 à 800 km de diamètre et de plus de dix kilomètres de hauteur. Il naît obligatoirement au-dessus de la mer, seulement lorsque la température de l’eau dépasse 26°centigrades sur une étendue de plusieurs millions de kilomètres carrés et sur une épaisseur de 50 à 100 mètres ; cela permet à l’air en contact avec les eaux chaudes de s’échauffer et de s’humidifier. Il se manifeste par des vents tourbillonnaires extrêmement violents, une mer très grosse à énorme et des masses nuageuses très importantes accompagnées de pluies torrentielles.
En début de phase, les images satellites permettent souvent de déceler la présence d’amas nuageux suspects sur des régions où l’on ne dispose pas de mesures objectives. Il faut ensuite analyser ces amas nuageux et déterminer si les facteurs météorologiques nécessaires au développement du cyclone existent. Si c’est le cas, alors ils favorisent l’aspiration vers la haute altitude de l’air chaud qui occupe les basses couches de l’atmosphère, tout comme dans une cheminée.
La dépression tropicale et le cyclone, bien que de même nature, se distinguent essentiellement par :
l’apparition d’un œil, zone de calme trompeur à la périphérie duquel se trouvent les vents les plus violents,
des vents moyens comme des rafales notablement plus fortes.
Dépression tropicale faible : vent moyen inférieur à 62 km/h
Dépression tropicale modérée : vent moyen compris entre 62 et 87 km/h
« (Le phénomène est baptisé) »
Dépression tropicale forte : vent moyen compris entre 89 et 117 km/h
Cyclone tropical : vent moyen compris entre 118 et 175 km/h
Cyclone tropical intense : vent moyen supérieur ou égal à 177 km/h
En début de phase, les images satellites permettent souvent de déceler la présence d’amas nuageux suspects sur des régions où l’on ne dispose pas de mesures objectives. Il faut ensuite analyser ces amas nuageux et déterminer si les facteurs météorologiques nécessaires au développement du cyclone existent. Si c’est le cas, alors ils favorisent l’aspiration vers la haute altitude de l’air chaud qui occupe les basses couches de l’atmosphère, tout comme dans une cheminée.
La dépression tropicale et le cyclone, bien que de même nature, se distinguent essentiellement par :
l’apparition d’un œil, zone de calme trompeur à la périphérie duquel se trouvent les vents les plus violents,
des vents moyens comme des rafales notablement plus fortes.
Dépression tropicale faible : vent moyen inférieur à 62 km/h
Dépression tropicale modérée : vent moyen compris entre 62 et 87 km/h
« (Le phénomène est baptisé) »
Dépression tropicale forte : vent moyen compris entre 89 et 117 km/h
Cyclone tropical : vent moyen compris entre 118 et 175 km/h
Cyclone tropical intense : vent moyen supérieur ou égal à 177 km/h
QUELS SONT LES EFFETS DES CYCLONES ?
Le vent : outre les accidents mortels dont il peut être à l’origine, il est également responsable de dégâts matériels :
aux habitations lorsque celles-ci n’obéissent pas à certaines normes de construction,
aux infrastructures publiques (eau, électricité, téléphone, ports ...)
à la végétation (arbres déracinés, branches brisées, ...).
Sur les îles, notamment aux débouchés des vallées, le relief peut être la cause de renforcements très importants du vent, même sur les côtes considérées comme abritées.
La mer : le long des rivages dont le niveau au-dessus de la mer ne dépasse pas quelques mètres (c’est le cas des atolls de Polynésie ou des bandes littorales des îles hautes), les dégâts occasionnés par la houle et la marée de tempête levées par un cyclone peuvent être considérables. Peu d’infrastructures résistent à l’énorme énergie dégagée par une mer en furie qui peut submerger complément un atoll, emportant tout sur son passage.
La pluie : outre le fait qu’elle endommage les biens mobiliers des habitations, elle provoque dans les îles :
des inondations, des crues de rivières
des dégâts aux plantations agricoles
la pollution des eaux rendues impropres à la consommation
des éboulements, des glissements de terrains
des dommages sérieux aux réseaux routiers.
aux habitations lorsque celles-ci n’obéissent pas à certaines normes de construction,
aux infrastructures publiques (eau, électricité, téléphone, ports ...)
à la végétation (arbres déracinés, branches brisées, ...).
Sur les îles, notamment aux débouchés des vallées, le relief peut être la cause de renforcements très importants du vent, même sur les côtes considérées comme abritées.
La mer : le long des rivages dont le niveau au-dessus de la mer ne dépasse pas quelques mètres (c’est le cas des atolls de Polynésie ou des bandes littorales des îles hautes), les dégâts occasionnés par la houle et la marée de tempête levées par un cyclone peuvent être considérables. Peu d’infrastructures résistent à l’énorme énergie dégagée par une mer en furie qui peut submerger complément un atoll, emportant tout sur son passage.
La pluie : outre le fait qu’elle endommage les biens mobiliers des habitations, elle provoque dans les îles :
des inondations, des crues de rivières
des dégâts aux plantations agricoles
la pollution des eaux rendues impropres à la consommation
des éboulements, des glissements de terrains
des dommages sérieux aux réseaux routiers.
QUE FAIRE ? DES LE MOIS DE NOVEMBRE ?
Constituez une réserve raisonnable de conserves, d’eau minérale, de biscuits, de légumes secs et récipients fermés : n’oubliez pas que vous risquez d’être privé d’électricité pendant plusieurs jours ou plusieurs semaines.
Veillez au bon état de vos lampes et de l’éclairage de secours (à piles). N’attendez surtout pas le dernier moment pour vous procurer une lampe ou un réchaud à gaz et le stock de cartouches qui vous sera nécessaire ainsi que les piles qui alimenteront votre transistor.
Préparez du petit matériel de pansement (coton, alcool, mercryl, etc.), du petit outillage (marteau, tenaille, pince, clous, etc.)
Vérifiez l’attache des tôles de votre toiture, la solidité de fixation du shingle ou de la charpente en bois, et révisez la résistance des portes et des fenêtres.
Téléchargez le dépliant conseil ICI
Veillez au bon état de vos lampes et de l’éclairage de secours (à piles). N’attendez surtout pas le dernier moment pour vous procurer une lampe ou un réchaud à gaz et le stock de cartouches qui vous sera nécessaire ainsi que les piles qui alimenteront votre transistor.
Préparez du petit matériel de pansement (coton, alcool, mercryl, etc.), du petit outillage (marteau, tenaille, pince, clous, etc.)
Vérifiez l’attache des tôles de votre toiture, la solidité de fixation du shingle ou de la charpente en bois, et révisez la résistance des portes et des fenêtres.
Téléchargez le dépliant conseil ICI
ALERTE ORANGE
Le phénomène peut concerner une île dans moins de 48 heures.
restez à l’écoute permanent de la radio. En plus des bulletins météo, des consignes officielles de sécurité peuvent être diffusées.
Vérifiez que votre réserve alimentaire est suffisante : que vos lampes fonctionnent, que vous disposez d’un stock suffisant de cartouches et piles : faites le plein d’essence et vérifiez le bon fonctionnement de vos lampes électriques et transistor.
Remplissez d’eau potable tous les récipients et ustensiles dont vous disposez car l’eau risque d’être coupée : préparez dans un sac étanche des vêtements de rechange.
Commencez à consolider portes et fenêtres : le danger des petites fenêtres vient principalement des débris volants, tandis que les plus grandes ouvertures peuvent être brisées par la pression du vent si elles ne sont pas protégées. Vous pouvez clouer ou visser à l’extérieur des pièces de bois sur lesquelles vous fixez des feuilles de contre-plaqué. Assurez-vous cependant que vous pourrez à tout moment ouvrir une porte ou une fenêtre du côté opposé au vent pour équilibrer la pression entre l’intérieur et l’extérieur de la maison.
Dans tous les cas, et pour éviter la projection de débris de verre au cas où un projectile frapperait les baies, placez sur leurs deux faces, en diagonale et en médiane, des bandes de papier collant.
Évitez de sortir sur le lagon ou en mer. Ne vous approchez pas des rivières : amarrez solidement les bateaux ou tirez-les hors de l’eau le plus loin possible du rivage.
Surveillez les enfants et regroupez-les.
Démontez antennes de télévision, stores et auvents. Mettez à l’abri tous les objets extérieurs qui pourraient être emportés par le vent (jouets, meubles de jardin, poubelles, vélos, etc.)
Pour les chefs d’entreprises, démontez toutes les installations aériennes et notamment les échafaudages.
Mettez à l’abri vos animaux ou libérez-les de leurs attaches
Inscrivez au fur et à mesure de l’évolution du cyclone sa position sur votre carte avec un crayon gras effaçable ou un crayon à papier.
restez à l’écoute permanent de la radio. En plus des bulletins météo, des consignes officielles de sécurité peuvent être diffusées.
Vérifiez que votre réserve alimentaire est suffisante : que vos lampes fonctionnent, que vous disposez d’un stock suffisant de cartouches et piles : faites le plein d’essence et vérifiez le bon fonctionnement de vos lampes électriques et transistor.
Remplissez d’eau potable tous les récipients et ustensiles dont vous disposez car l’eau risque d’être coupée : préparez dans un sac étanche des vêtements de rechange.
Commencez à consolider portes et fenêtres : le danger des petites fenêtres vient principalement des débris volants, tandis que les plus grandes ouvertures peuvent être brisées par la pression du vent si elles ne sont pas protégées. Vous pouvez clouer ou visser à l’extérieur des pièces de bois sur lesquelles vous fixez des feuilles de contre-plaqué. Assurez-vous cependant que vous pourrez à tout moment ouvrir une porte ou une fenêtre du côté opposé au vent pour équilibrer la pression entre l’intérieur et l’extérieur de la maison.
Dans tous les cas, et pour éviter la projection de débris de verre au cas où un projectile frapperait les baies, placez sur leurs deux faces, en diagonale et en médiane, des bandes de papier collant.
Évitez de sortir sur le lagon ou en mer. Ne vous approchez pas des rivières : amarrez solidement les bateaux ou tirez-les hors de l’eau le plus loin possible du rivage.
Surveillez les enfants et regroupez-les.
Démontez antennes de télévision, stores et auvents. Mettez à l’abri tous les objets extérieurs qui pourraient être emportés par le vent (jouets, meubles de jardin, poubelles, vélos, etc.)
Pour les chefs d’entreprises, démontez toutes les installations aériennes et notamment les échafaudages.
Mettez à l’abri vos animaux ou libérez-les de leurs attaches
Inscrivez au fur et à mesure de l’évolution du cyclone sa position sur votre carte avec un crayon gras effaçable ou un crayon à papier.
ALERTE ROUGE
Forte probabilité pour qu’une île soit touchée par le cyclone dans moins de 24 heures
préparez-vous à vous enfermer chez vous si vous estimez que votre maison est suffisamment sure ou rejoignez un abri dont la liste est affichée à la Mairie.
Protégez ce qui est à l’intérieur de la maison contre l’eau (inondation ou pluie)
Mettez à l’abri des documents importants « livret de famille, papiers d’identité, livres scolaires, argent et bijoux,...)
Coupez le compteur électrique.
Pendant le cyclone
restez à l’écoute de la radio (transistor à piles) et ne quittez pas votre abri.
Éteignez les flammes nues des bougies ou les lampes à pétrole qui pourraient occasionner un incendie. Ne conservez allumés que votre éclairage au gaz et vos lampes électriques à piles.
Surveillez en permanence la résistance au vent des portes et fenêtres. Tenez-vous prêts avec des outils à portée de main à les consolider en cas de rupture.
Évitez de rester à proximité des baies vitrées dont la fracture par un projectile peut causer de très graves blessures.
Tenez-vous prêts, au cas où une partie de la toiture se détache, à mettre matelas et vêtements à l’abri sous des toiles cirées, dans des cantines ou des valises.
Ne quittez pas votre abri avant la fin de l’alerte radiodiffusée.
N’oubliez pas qu’il peut y avoir une période d’accalmie qui n’est que l’œil du cyclone et que les vents redoublent de violence après le passage de l’œil.
redoublez de vigilance si le cyclone a lieu durant la nuit.
préparez-vous à vous enfermer chez vous si vous estimez que votre maison est suffisamment sure ou rejoignez un abri dont la liste est affichée à la Mairie.
Protégez ce qui est à l’intérieur de la maison contre l’eau (inondation ou pluie)
Mettez à l’abri des documents importants « livret de famille, papiers d’identité, livres scolaires, argent et bijoux,...)
Coupez le compteur électrique.
Pendant le cyclone
restez à l’écoute de la radio (transistor à piles) et ne quittez pas votre abri.
Éteignez les flammes nues des bougies ou les lampes à pétrole qui pourraient occasionner un incendie. Ne conservez allumés que votre éclairage au gaz et vos lampes électriques à piles.
Surveillez en permanence la résistance au vent des portes et fenêtres. Tenez-vous prêts avec des outils à portée de main à les consolider en cas de rupture.
Évitez de rester à proximité des baies vitrées dont la fracture par un projectile peut causer de très graves blessures.
Tenez-vous prêts, au cas où une partie de la toiture se détache, à mettre matelas et vêtements à l’abri sous des toiles cirées, dans des cantines ou des valises.
Ne quittez pas votre abri avant la fin de l’alerte radiodiffusée.
N’oubliez pas qu’il peut y avoir une période d’accalmie qui n’est que l’œil du cyclone et que les vents redoublent de violence après le passage de l’œil.
redoublez de vigilance si le cyclone a lieu durant la nuit.
FIN D’ALERTE
Ne touchez pas aux fils électriques qui peuvent traîner au sol et signalez-les aux équipes officielles de secours.
Évitez les abords des rivières.
Signalez les blessés : aidez les équipes de secours à les acheminer vers les centres de soins.
Rassemblez les animaux morts.
Ne consommez que de l’eau que vous avez mis en réserve avant le cyclone.
Réparez sommairement votre maison et nettoyez les alentours.
Aidez à déblayer les débris et à dégager les voies de circulation et les routes. Évitez de prendre votre véhicule sauf extrême urgence : dans ce cas conduisez avec précaution.
Faites le bilan des victimes (nombre et gravité des blessures, besoins de nourriture, dégâts aux « fare » et signalez le à la Mairie ou à la gendarmerie
Évitez les abords des rivières.
Signalez les blessés : aidez les équipes de secours à les acheminer vers les centres de soins.
Rassemblez les animaux morts.
Ne consommez que de l’eau que vous avez mis en réserve avant le cyclone.
Réparez sommairement votre maison et nettoyez les alentours.
Aidez à déblayer les débris et à dégager les voies de circulation et les routes. Évitez de prendre votre véhicule sauf extrême urgence : dans ce cas conduisez avec précaution.
Faites le bilan des victimes (nombre et gravité des blessures, besoins de nourriture, dégâts aux « fare » et signalez le à la Mairie ou à la gendarmerie








































