PORT-VILA, mardi 11 mars 2014 (Flash d’Océanie) – Le cyclone tropical « Lusi », qui s’est formé en début de semaine au Nord de l’archipel de Vanuatu, a fait sa première victime : un homme tué net par la chute d’une branche d’arbre, sur l’île de Pentecôte (Nord), rapporte la presse locale.
La victime a été identifiée par la presse locale comme étant un pasteur anglican du nom d’Austin Hinge, mort des suites des blessures occasionnées par la chute d’une grosse branche, sous les vents de Lusi, non loin du village de Lavusi, au Nord de l’île de Pentecôte.
Au plan des premiers comptes-rendus du passage de Lusi dans les îles Du Nord de Vanuatu, les dégâts les plus importants concerneraient des maisons d’habitations construites en matériaux traditionnels, mais aussi les cultures vivrières, faisant ainsi redouter une disette à moyen terme.
Dans son dernier point de la situation, l’office régional des Nations-Unies pour la coordination des affaires humanitaires (UNOCHA), depuis son bureau de Suva (Fidji)
Depuis lundi, Lusi a poursuivi sa trajectoire en direction Sud-est, passant de l’extrême Nord de Vanuatu à son flanc Nord-est, semblant ainsi se diriger vers les îles Fidji voisines.
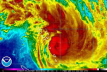
Ce système a aussi, au fil des heures, gagné en intensité.
Les autorités de Fidji, entre-temps, ont à leur tour activé le système d’alerte cyclonique, en particulier pour les îles situées sur le flanc Ouest de l’archipel, y compris l’île principale de Viti Levu.
Les consignes concernent une nouvelle fois un appel à la vigilance concernant le risque élevé d’inondations du fait des fortes pluies qui seront associées au passage proche de Lusi, sans que ce système n’opère forcément un impact direct.
Selon sa trajectoire actuelle et prévue, Lusi, désormais classé en catégorie 2 (sur une échelle de 5), avec des vents constants avoisinant les 100 kilomètres heures et 130 en rafales.
Lusi pourrait passer en catégorie 3 dès mercredi.
Il devrait passer au large de Nadi (Ouest de Viti Levu, à une distance respectable (environ 500 kilomètres), estime le bureau régional de la météorologie fidjienne.
Selon le centre d’alerte aux cyclones de Pearl Harbour (marine américaine), toutefois, les prévisions pour les prochains jours font état d’un gain de puissance significatif et non encore réalisé à l’horizon +24 heures, avec des vents de 130 kilomètres heures au centre et des rafales à 160.
La puissance maximale évoquée serait atteinte à +48 heures, jeudi, avec des vents constants de 160 kilomètres heures au centre et des rafales à 195.
Après quoi, Lusi devrait progressivement perdre en puissance et se dissiper en début de week-end prochain, selon les mêmes sources.
En Nouvelle-Zélande, les autorités suivent elles aussi ce phénomène de près, étant donné que s’il poursuit sa trajectoire, il pourrait, ce week-end, se révéler nuisible et sérieusement perturber les conditions météorologiques dans la partie Nord du pays.
pad
La victime a été identifiée par la presse locale comme étant un pasteur anglican du nom d’Austin Hinge, mort des suites des blessures occasionnées par la chute d’une grosse branche, sous les vents de Lusi, non loin du village de Lavusi, au Nord de l’île de Pentecôte.
Au plan des premiers comptes-rendus du passage de Lusi dans les îles Du Nord de Vanuatu, les dégâts les plus importants concerneraient des maisons d’habitations construites en matériaux traditionnels, mais aussi les cultures vivrières, faisant ainsi redouter une disette à moyen terme.
Dans son dernier point de la situation, l’office régional des Nations-Unies pour la coordination des affaires humanitaires (UNOCHA), depuis son bureau de Suva (Fidji)
Depuis lundi, Lusi a poursuivi sa trajectoire en direction Sud-est, passant de l’extrême Nord de Vanuatu à son flanc Nord-est, semblant ainsi se diriger vers les îles Fidji voisines.
Ce système a aussi, au fil des heures, gagné en intensité.
Les autorités de Fidji, entre-temps, ont à leur tour activé le système d’alerte cyclonique, en particulier pour les îles situées sur le flanc Ouest de l’archipel, y compris l’île principale de Viti Levu.
Les consignes concernent une nouvelle fois un appel à la vigilance concernant le risque élevé d’inondations du fait des fortes pluies qui seront associées au passage proche de Lusi, sans que ce système n’opère forcément un impact direct.
Selon sa trajectoire actuelle et prévue, Lusi, désormais classé en catégorie 2 (sur une échelle de 5), avec des vents constants avoisinant les 100 kilomètres heures et 130 en rafales.
Lusi pourrait passer en catégorie 3 dès mercredi.
Il devrait passer au large de Nadi (Ouest de Viti Levu, à une distance respectable (environ 500 kilomètres), estime le bureau régional de la météorologie fidjienne.
Selon le centre d’alerte aux cyclones de Pearl Harbour (marine américaine), toutefois, les prévisions pour les prochains jours font état d’un gain de puissance significatif et non encore réalisé à l’horizon +24 heures, avec des vents de 130 kilomètres heures au centre et des rafales à 160.
La puissance maximale évoquée serait atteinte à +48 heures, jeudi, avec des vents constants de 160 kilomètres heures au centre et des rafales à 195.
Après quoi, Lusi devrait progressivement perdre en puissance et se dissiper en début de week-end prochain, selon les mêmes sources.
En Nouvelle-Zélande, les autorités suivent elles aussi ce phénomène de près, étant donné que s’il poursuit sa trajectoire, il pourrait, ce week-end, se révéler nuisible et sérieusement perturber les conditions météorologiques dans la partie Nord du pays.
pad

































