Tahiti, le 6 mars 2024 - À la suite d'une étude regroupant les connaissances acquises sur les monts sous-marins polynésiens réalisée par l'Office français de la biodiversité (OFB), un colloque s'est tenu à la présidence ce mercredi 6 mars. Toute la journée, les principaux acteurs et organismes intéressés par la question des fonds marins se sont réunis pour discuter des différents enjeux et problématiques liés à la recherche scientifique sur ces fameuses montagnes immergées, qui restent pour la plupart un mystère.
Tout comme l'espace, les fonds marins interrogent. Mais à l'inverse de l'espace, ces connaissances sont relativement proches de nos centres de recherche terrestres. Problème : ces connaissances sont bien gardées, enfouies sous plusieurs milliers de litres d'eau. Alors que la recherche scientifique progresse de jour en jour, certaines études commencent à s'intéresser à ces monts sous-marins, mais elles restent pour le moment très éparses. Bref, comme disait Socrate, tout ce que l'on sait, c'est qu'actuellement, on ne sait pas grand-chose.
Ce manque de connaissance, Franck Connan, délégué territorial de l'Office français de la biodiversité (OFB) en Polynésie, en est conscient. “J'utilise le conditionnel car on ne connaît pas grand-chose sur les grands fonds. On sait qu'aujourd'hui, sur les monts sous-marins, il y a de la vie, du vivant et des fonctionnalités. Il y a plein de questions qui se posent, car les monts sous-marins sont en quelque sorte la continuité sous-marine des terres émergées.” C'est donc pour y voir plus clair que la Direction des ressources marines (DRM) a commandé une étude à l'OFB, afin d'en apprendre plus sur ces écosystèmes à part entière, mais aussi de réfléchir à une manière de les protéger, rajoutait Franck Connan. “L'OFB a travaillé avec le Pays, on nous a demandé de travailler spécifiquement sur les monts sous-marins, d'avoir cette approche de connaissance et in fine de protection.”
Le mystère demeure
“Aujourd'hui, ce colloque, c'est le résultat de cette étude, mais qui va au-delà. C'est l'occasion de mettre tous les acteurs autour de la table, sur la question des grands fonds de manière générale”, expliquait le membre de l'OFB. Cette soif de connaissance a réuni des centres de recherche comme l'Ifremer, l'Institut de recherche pour le développement, le Muséum national d’histoire naturelle et d'autres… Mais aussi des acteurs de la société civile et des institutions pour pouvoir travailler sur une feuille de route “éclairée” selon l'OFB.
L'objectif de ces recherches n'est pas de “faire le buzz”, expliquait Franck Connan, en allant chercher la photo de la dernière créature découverte dans ces profondeurs, qui créera sans doute l'émoi. L'objectif, “c'est plutôt de comprendre ce qui se passe au fond”, ajoutait-il. “L'idée de pouvoir mettre en lumière la fonctionnalité des monts sous-marins, mais aussi des grands fonds. On a une responsabilité au regard de ces fonds marins qui disposent d'une certaine forme de vie.” Car même si les monts sous-marins de Polynésie abriteraient moins de vie que d'autres de leurs semblables, en raison de la faible productivité des milieux, “cela ne veut pas dire qu'ils sont moins intéressants et donc à moins protéger que d'autres”.
Malgré tout, ces monts immergés abritent beaucoup d'espèces différentes qui y ont élu domicile, mais ont aussi un rôle indéniable à jouer dans le bon fonctionnement des écosystèmes océaniques. Plusieurs milliers d'espèces y sont découvertes, sur les pentes et sommets de ces monts. Au-delà de ça, les monts sous-marins affectent considérablement les flux de courants marins, et donc la vie marine en général. En apprendre plus sur ces monts, c'est un pas supplémentaire dans la compréhension des mécaniques de la biodiversité marine.
“Un travail de titan”
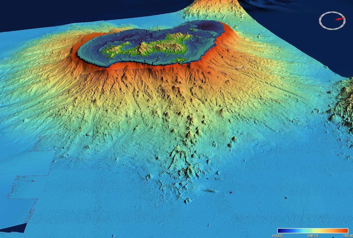
“Couvrir les fonds marins polynésiens est un travail de titan qui prendra des années”, expliquait un membre de l'Ifremer. Et pour cause, la zone de recherche polynésienne et ses 4 800 000 km2 est vaste, trop vaste pour pouvoir la couvrir en entier. L'OFB l'expliquait en comparant avec sa dernière mission de recherche commandée à la société Abyssa, sur deux monts sous-marins situés dans la zone du Cap Corse. “Dans la zone polynésienne, il y a plus de 100 monts qui culminent au-delà des 1,4 km du plancher océanique, et ce nombre est probablement sous-estimé.”
Pour optimiser la recherche, les différents organismes ont profité du colloque pour parler des dernières technologies. Sur les différents types d'outils utilisés, les satellites permettent de couvrir une zone bien plus vaste, mais ne peuvent pas prélever d'échantillons ou établir des faits avec précision. Reste le bateau “qui va couvrir en une journée 4 000 km2” et le sous-marin, qui va gagner en précision d'analyse mais perdre en surface couverte, avec seulement “20 km2 par jour”. Les instituts de recherche travaillent donc sur de nouveaux dispositifs permettant d'optimiser la recherche.
Une autre solution qui a été abordée serait de concentrer les recherches sur des zones identifiées comme étant prioritaires, expliquait Franck Connan. “On ne pourra pas aller tout voir partout, le but est de cibler les zones les plus intéressantes.” Comme celle des îles Cook, où une potentielle expédition sur des monts sous-marins a été évoquée afin de “faire un état des lieux avant qu'il y ait des impacts collatéraux” dus aux actions anthropiques, rajoutait Franck Connan. Une chose est sûre, malgré la distance qui sépare la terre ferme des abysses, les chercheurs continueront d'approfondir le sujet.
Tout comme l'espace, les fonds marins interrogent. Mais à l'inverse de l'espace, ces connaissances sont relativement proches de nos centres de recherche terrestres. Problème : ces connaissances sont bien gardées, enfouies sous plusieurs milliers de litres d'eau. Alors que la recherche scientifique progresse de jour en jour, certaines études commencent à s'intéresser à ces monts sous-marins, mais elles restent pour le moment très éparses. Bref, comme disait Socrate, tout ce que l'on sait, c'est qu'actuellement, on ne sait pas grand-chose.
Ce manque de connaissance, Franck Connan, délégué territorial de l'Office français de la biodiversité (OFB) en Polynésie, en est conscient. “J'utilise le conditionnel car on ne connaît pas grand-chose sur les grands fonds. On sait qu'aujourd'hui, sur les monts sous-marins, il y a de la vie, du vivant et des fonctionnalités. Il y a plein de questions qui se posent, car les monts sous-marins sont en quelque sorte la continuité sous-marine des terres émergées.” C'est donc pour y voir plus clair que la Direction des ressources marines (DRM) a commandé une étude à l'OFB, afin d'en apprendre plus sur ces écosystèmes à part entière, mais aussi de réfléchir à une manière de les protéger, rajoutait Franck Connan. “L'OFB a travaillé avec le Pays, on nous a demandé de travailler spécifiquement sur les monts sous-marins, d'avoir cette approche de connaissance et in fine de protection.”
Le mystère demeure
“Aujourd'hui, ce colloque, c'est le résultat de cette étude, mais qui va au-delà. C'est l'occasion de mettre tous les acteurs autour de la table, sur la question des grands fonds de manière générale”, expliquait le membre de l'OFB. Cette soif de connaissance a réuni des centres de recherche comme l'Ifremer, l'Institut de recherche pour le développement, le Muséum national d’histoire naturelle et d'autres… Mais aussi des acteurs de la société civile et des institutions pour pouvoir travailler sur une feuille de route “éclairée” selon l'OFB.
L'objectif de ces recherches n'est pas de “faire le buzz”, expliquait Franck Connan, en allant chercher la photo de la dernière créature découverte dans ces profondeurs, qui créera sans doute l'émoi. L'objectif, “c'est plutôt de comprendre ce qui se passe au fond”, ajoutait-il. “L'idée de pouvoir mettre en lumière la fonctionnalité des monts sous-marins, mais aussi des grands fonds. On a une responsabilité au regard de ces fonds marins qui disposent d'une certaine forme de vie.” Car même si les monts sous-marins de Polynésie abriteraient moins de vie que d'autres de leurs semblables, en raison de la faible productivité des milieux, “cela ne veut pas dire qu'ils sont moins intéressants et donc à moins protéger que d'autres”.
Malgré tout, ces monts immergés abritent beaucoup d'espèces différentes qui y ont élu domicile, mais ont aussi un rôle indéniable à jouer dans le bon fonctionnement des écosystèmes océaniques. Plusieurs milliers d'espèces y sont découvertes, sur les pentes et sommets de ces monts. Au-delà de ça, les monts sous-marins affectent considérablement les flux de courants marins, et donc la vie marine en général. En apprendre plus sur ces monts, c'est un pas supplémentaire dans la compréhension des mécaniques de la biodiversité marine.
“Un travail de titan”
“Couvrir les fonds marins polynésiens est un travail de titan qui prendra des années”, expliquait un membre de l'Ifremer. Et pour cause, la zone de recherche polynésienne et ses 4 800 000 km2 est vaste, trop vaste pour pouvoir la couvrir en entier. L'OFB l'expliquait en comparant avec sa dernière mission de recherche commandée à la société Abyssa, sur deux monts sous-marins situés dans la zone du Cap Corse. “Dans la zone polynésienne, il y a plus de 100 monts qui culminent au-delà des 1,4 km du plancher océanique, et ce nombre est probablement sous-estimé.”
Pour optimiser la recherche, les différents organismes ont profité du colloque pour parler des dernières technologies. Sur les différents types d'outils utilisés, les satellites permettent de couvrir une zone bien plus vaste, mais ne peuvent pas prélever d'échantillons ou établir des faits avec précision. Reste le bateau “qui va couvrir en une journée 4 000 km2” et le sous-marin, qui va gagner en précision d'analyse mais perdre en surface couverte, avec seulement “20 km2 par jour”. Les instituts de recherche travaillent donc sur de nouveaux dispositifs permettant d'optimiser la recherche.
Une autre solution qui a été abordée serait de concentrer les recherches sur des zones identifiées comme étant prioritaires, expliquait Franck Connan. “On ne pourra pas aller tout voir partout, le but est de cibler les zones les plus intéressantes.” Comme celle des îles Cook, où une potentielle expédition sur des monts sous-marins a été évoquée afin de “faire un état des lieux avant qu'il y ait des impacts collatéraux” dus aux actions anthropiques, rajoutait Franck Connan. Une chose est sûre, malgré la distance qui sépare la terre ferme des abysses, les chercheurs continueront d'approfondir le sujet.





































