Manille, Philippines | AFP | mercredi 21/04/2021 - Sept membres d'équipage d'un cargo qui talonnait en pleine tempête ont été secourus alors que quatre corps ont été retrouvés, ont annoncé mercredi les autorités.
Les secours étaient toujours à la recherche de neuf autres membres d'équipage deux jours après son échouement près de la ville de Malimono, sur la grande île méridionale de Mindanao.
Les survivants ont été hospitalisés dans un état stable, selon le responsable local du service de gestion des catastrophes Aladdin Sumampong.
"Je leur ai demandé ce qui s'était passé (...) ils ont dit que l'ordre du capitaine était d'abandonner le bateau parce qu'il allait bientôt chavirer en raison des grosses vagues", a déclaré M. Sumampong à l'AFP.
Le Cebu Great Ocean, immatriculé aux Philippines, était chargé de minerai de nickel et transportait 2.000 litres de diesel, est encore à flot, a précisé M. Sumampong.
Deux des survivants ont été retrouvés sur une plage avec les corps de deux de leurs collègues qu'ils ont ramenés en nageant vers le rivage, a-t-il précisé.
Des photos du bureau gouvernemental en charge des catastrophes montrent un canot de fortune, constitué de bouées de sauvetage et de récipients d'eau échoués sur la plage où certains des corps ont été retrouvés.
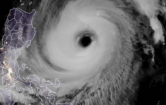
Au moins trois personnes ont péri dans le centre de l'archipel au passage du typhon Surigae qui est passé à proximité du pays, selon les autorités, contraignant des dizaines de milliers de personnes à se réfugier dans des abris d'urgence.
Le typhon, qui se déplace lentement, s'accompagne de vents pouvant atteindre 165 kilomètres par heure, à environ 345 kilomètres et passe au large de la province septentrionale de Cagayan.
Les Philippines sont frappées chaque année par une vingtaine de tempêtes et typhons qui détruisent les récoltes, les maisons et l'infrastructure dans des zones déjà appauvries.
Les secours étaient toujours à la recherche de neuf autres membres d'équipage deux jours après son échouement près de la ville de Malimono, sur la grande île méridionale de Mindanao.
Les survivants ont été hospitalisés dans un état stable, selon le responsable local du service de gestion des catastrophes Aladdin Sumampong.
"Je leur ai demandé ce qui s'était passé (...) ils ont dit que l'ordre du capitaine était d'abandonner le bateau parce qu'il allait bientôt chavirer en raison des grosses vagues", a déclaré M. Sumampong à l'AFP.
Le Cebu Great Ocean, immatriculé aux Philippines, était chargé de minerai de nickel et transportait 2.000 litres de diesel, est encore à flot, a précisé M. Sumampong.
Deux des survivants ont été retrouvés sur une plage avec les corps de deux de leurs collègues qu'ils ont ramenés en nageant vers le rivage, a-t-il précisé.
Des photos du bureau gouvernemental en charge des catastrophes montrent un canot de fortune, constitué de bouées de sauvetage et de récipients d'eau échoués sur la plage où certains des corps ont été retrouvés.
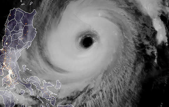
Au moins trois personnes ont péri dans le centre de l'archipel au passage du typhon Surigae qui est passé à proximité du pays, selon les autorités, contraignant des dizaines de milliers de personnes à se réfugier dans des abris d'urgence.
Le typhon, qui se déplace lentement, s'accompagne de vents pouvant atteindre 165 kilomètres par heure, à environ 345 kilomètres et passe au large de la province septentrionale de Cagayan.
Les Philippines sont frappées chaque année par une vingtaine de tempêtes et typhons qui détruisent les récoltes, les maisons et l'infrastructure dans des zones déjà appauvries.





























