|
Actualité du Pacifique
L'information de l'Océanie
Wellington, Nouvelle-Zélande | AFP | samedi 07/10/2022 - Quelque 250 dauphins-pilotes ont trouvé la mort en s'échouant sur l'île reculée de...
Santiago du Chili, Chili | AFP | vendredi 07/10/2022 - Quelque 80 statues emblématiques de l'Île de Pâques ont été endommagées, parfois de...
Sydney, Australie | AFP | vendredi 07/10/2022 - Le Premier mininistre des Îles Salomon, Manasseh Sogavare, a dit vendredi avoir assuré l'Australie...
Nouméa, France | AFP | vendredi 06/10/2022 - Pour la première fois de son histoire, la Nouvelle-Calédonie voit sa population baisser, avec des...
Séoul, Corée du Sud | AFP | jeudi 06/10/2022 - La Corée du Nord a lancé jeudi deux nouveaux missiles balistiques et fait voler en formation 12 avions...
Australie: nouveau record de précipitations 06/10/2022
Sydney, Australie | AFP | jeudi 05/10/2022 - Sydney, la ville la plus peuplée d'Australie, a connu ses pires précipitations annuelles en au moins 70...
Aircalin renforce sa ligne Nouméa-Singapour 05/10/2022
Tahiti, le 5 octobre 2022 - Aircalin a décidé de renforcer ses vols vers Singapour. Dès le 31 octobre, le programme de vols de la compagnie...
Nouméa, France | AFP | mardi 03/10/2022 - Pour la première fois depuis deux ans et demi, un navire de croisière a fait escale mardi en...
La Corée du Sud et les Etats-Unis tirent une salve de missiles après le lancement nord-coréen 05/10/2022
Séoul, Corée du Sud | AFP | mercredi 04/10/2022 - La Corée du Sud et les Etats-Unis ont lancé mercredi plusieurs missiles vers des cibles en mer, au...
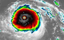
Mexico, Mexique | AFP | lundi 03/10/2022 - L'ouragan Orlene, qui touché terre en catégorie 1 lundi matin dans le sud de l'Etat mexicain de Sinaloa,...
|
||||
|
TAHITI-INFOS est un site édité par FENUACOMMUNICATION Sarl au capital de 20 000 000 Fcfp, immeuble Manarava - Shell RDO Faa'a - BP 40160 98 713 Papeete Polynésie Française.
(+689) 40 43 49 49 - Dir. de publication : Sarah MOUX - Gérant : Albert MOUX |
||||













